ACS Biomaterials:從紙基微流控芯片到紙基生物芯片
毛細驅動的紙基微流控芯片在化學分析中有廣泛的應用,常用于污染物的檢測等領域,由于其流體驅動依賴于紙的毛細效應,具有體積小,成本低等諸多優勢。我們課題組在做生物3D打印的時候,一直在思考設計一款簡易、小巧的細胞乃至器官灌流設備,以避免現有系統龐大、復雜的體積所造成的諸多不便。經過一年多的設計及實驗,我們提出并實現了一種可并行,實現多個打印器官的生物灌流系統,首次實現了在紙基芯片上細胞的三維培養、腫瘤球的藥物篩選(乳腺癌的藥物篩選為例),演示了該平臺在藥物篩選上的潛力,很高興這篇文章被ACS Biomaterials選為第三卷第四期的封面。這個平臺很容易與生物3D打印技術集成,在細胞的立體培養、藥物篩選、器官芯片等領域有著光明的應用前景。
整個系統設計時就考慮了方便其他研究人員的重現,我們開源了整個設計圖紙及軟硬件控制代碼,除電控部分外所有的結構都可用桌面式3D打印機打印,很容易自己在實驗室DIY。


紙基生物芯片系統解構及原理

基于該平臺的細胞立體培養

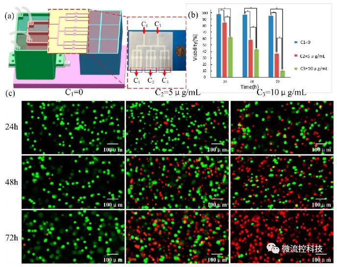
基于該平臺的3D腫瘤藥物篩選
文章信息:ACS Biomaterials封面:從紙基微流控芯片到紙基生物芯片(From Microfluidic Paper-Based AnalyticalDevices to Paper-Based Biofluidics with Integrated Continuous Perfusion)
(文章來源:科學網賀永博客 轉載僅供參考學習及傳遞有用信息,版權歸原作者所有,如侵犯權益,請聯系刪除)
標簽:   紙基生物芯片
